台风“麦德姆”正以强劲的势头接近中国华南沿海地区。预计5日将在广东电白至海南万宁沿海登陆,登陆强度可能达到强台风水平。台风将对中国大陆的天气产生多种影响,包括强风暴雨、次生灾害风险和交通。
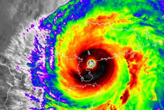
根据气象部门的最新监测,台风“麦德姆”中心目前位于南海北部海面上,距离广东省湛江市徐闻县东部约830公里。中心附近的最大风力已达到12级(33米/秒)。预计将以每小时25-30公里的速度向西向北移动,强度将继续增加。登录时,可达到13-14级(40-45米/秒)的强台风水平。台风的这种强度将对沿海地区,特别是海南、广东、广西和云南地区产生严重的风雨影响。

在降雨方面,台风“麦德姆”将带来大规模强降水。预计从4日晚到7日白天,华南南部、西部、云南等地将从东到西下大雨。其中,海南岛中部和北部、广东西南部、广西南部和云南东南部的一些地区将发生大雨。海南岛东北部和广西沿海地区甚至可能发生大雨,累计降雨量可达100-160mm,局部降雨量可达250-280mm。这种强降雨很容易导致城市内涝、中小型河流洪水等次生灾害,尤其是广西南部和云南南部等早期降雨较多的地区。
风力的影响也不容小觑。预计南海中北部海面、广东中西部海面、琼州海峡、北部湾海面的风力将在4日晚至6日白天相继增加到8-11级。从4日晚到5日晚,珠江口以西的沿海市县将有8-11级强风,台风中心附近的海面和陆地旋转风可达12-14级,阵风可达15-16级。如此强大的风力可能会导致树木倒塌、广告牌倒塌、临时结构倒塌等,严重影响城市运营和居民生活。

受台风影响,许多地方已经采取了应急措施。海口市宣布将于4日下午至5日实施“六停”措施,包括停课、停工、停工、停工、停工、停工、停工、停工。广东、海南等地提高了防风应急响应水平。有关部门正在加强监测和预警,组织危险地区人员转移,做好应急救援准备。在交通方面,琼州海峡已全面停航,海南环岛高铁部分区段已停航,许多机场航班可能大规模延误或取消。
气象专家特别提醒,目前是国庆节和中秋节假期,有大量的游客。台风“麦德姆”具有强大的登陆强度和广泛的风雨影响,这将对旅游和交通产生严重影响。建议公众密切关注气象部门发布的最新预警信息,合理安排出行计划,避免前往台风影响区。沿海居民应加固门窗,收集户外物品,做好防台准备。山区居民应特别防止山洪、泥石流等次生灾害。

从长远来看,虽然台风“麦德姆”带来的降雨可能会导致灾难,但它也将补充华南地区水库的蓄水,缓解早期干旱。气象部门将继续跟踪台风趋势,及时发布最新的预报和预警信息,为防灾减灾提供科学依据。面对这场威胁性的台风,地方、部门和公众需要高度重视,做好充分准备,共同应对可能带来的各种挑战。
2026-01-16 17:00:22
2026-01-16 17:00:03
2026-01-16 16:58:25
2026-01-16 16:53:32
2026-01-16 16:52:35